• تسجيل دخول
  • حساب جديد
  • أخبار العالم
  • مصر
  • السعودية
  • إقتصاد
  • الرياضة
  • صحة
  • ثقافة وفن
  • تكنولوجيا
بوابة مصر الجديدةبوابة مصر الجديدة
  • أخبار العالم
  • مصر
  • السعودية
  • إقتصاد
  • الرياضة
  • صحة
  • ثقافة وفن
  • تكنولوجيا
    • تسجيل دخول
    • حساب جديد
لا توجد نتائج
مزيد من النتائج
  • العملات
  • أوقات الصلاة
  • الطقس

أخر الاخبار

ترامب يُعلق على اختبار روسيا لصاروخ يحمل رؤوسا نووية.. ويرد على بوتين

ترامب يُعلق على اختبار روسيا لصاروخ يحمل رؤوسا نووية.. ويرد على بوتين

أخبار العالممنذ 8 دقائق
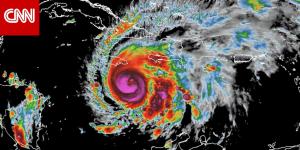
مع اشتداد إعصار "ميليسا".. جامايكا تستعد لتهديد من أسوأ عاصفة محتملة

مع اشتداد إعصار "ميليسا".. جامايكا تستعد لتهديد من أسوأ عاصفة محتملة

أخبار العالممنذ 8 دقائق
قبل اللقاء المرتقب بينهما.. ما هو مستقبل محادثات التجارة بين ترامب وشي؟

قبل اللقاء المرتقب بينهما.. ما هو مستقبل محادثات التجارة بين ترامب وشي؟

أخبار العالممنذ ساعتين
تشمل الفنتانيل وتيك توك.. نظرة على مكونات الاتفاق التجاري المحتمل بين أمريكا والصين

تشمل الفنتانيل وتيك توك.. نظرة على مكونات الاتفاق التجاري المحتمل بين أمريكا والصين

أخبار العالممنذ 11 ساعة
زهران ممداني لـCNN: سأقاضي إدارة ترامب إذا لزم الأمر لو أصبحت عمدة مدينة نيويورك

زهران ممداني لـCNN: سأقاضي إدارة ترامب إذا لزم الأمر لو أصبحت عمدة مدينة نيويورك

أخبار العالممنذ 11 ساعة
منها مشادة يامال مع كورتوا وفينيسيوس.. إليك أبرز 5 أحداث شهدها الكلاسيكو الإسباني

منها مشادة يامال مع كورتوا وفينيسيوس.. إليك أبرز 5 أحداث شهدها الكلاسيكو الإسباني

الرياضةمنذ 12 ساعة
ريال مدريد يحسم "كلاسيكو الأرض" على حساب برشلونة.. كيف أصبح ترتيب الفريقين؟

ريال مدريد يحسم "كلاسيكو الأرض" على حساب برشلونة.. كيف أصبح ترتيب الفريقين؟

الرياضةمنذ 13 ساعة
مسيّرات روسية تضرب كييف ليلا.. وزيلينسكي يطالب بصواريخ باتريوت

مسيّرات روسية تضرب كييف ليلا.. وزيلينسكي يطالب بصواريخ باتريوت

أخبار العالممنذ 14 ساعة
تفاعل على تصرف قام به إيبيريشي إيز بعد هدفه الأول مع أرسنال في البريميرليغ

تفاعل على تصرف قام به إيبيريشي إيز بعد هدفه الأول مع أرسنال في البريميرليغ

الرياضةمنذ 14 ساعة
بعد تجديد عقده.. سافيتش يكشف مميزات اللعب مع الهلال السعودي

بعد تجديد عقده.. سافيتش يكشف مميزات اللعب مع الهلال السعودي

الرياضةمنذ 15 ساعة
عرض المزيد

2025 © بوابة مصر الجديدة

الصفحة غير متاحه

عفوا الصفحة التي تحاول الوصول إليها غير متاحة ، فى حالة الاستفسارات يمكنك الاتصال بنا

أحدث الاخبار لدينا

ترامب يُعلق على اختبار روسيا لصاروخ يحمل رؤوسا نووية.. ويرد على بوتين

ترامب يُعلق على اختبار روسيا لصاروخ يحمل رؤوسا نووية.. ويرد على بوتين

أخبار العالممنذ 8 دقائق
مع اشتداد إعصار "ميليسا".. جامايكا تستعد لتهديد من أسوأ عاصفة محتملة

مع اشتداد إعصار "ميليسا".. جامايكا تستعد لتهديد من أسوأ عاصفة محتملة

أخبار العالممنذ 8 دقائق
قبل اللقاء المرتقب بينهما.. ما هو مستقبل محادثات التجارة بين ترامب وشي؟

قبل اللقاء المرتقب بينهما.. ما هو مستقبل محادثات التجارة بين ترامب وشي؟

أخبار العالممنذ ساعتين
تشمل الفنتانيل وتيك توك.. نظرة على مكونات الاتفاق التجاري المحتمل بين أمريكا والصين

تشمل الفنتانيل وتيك توك.. نظرة على مكونات الاتفاق التجاري المحتمل بين أمريكا والصين

أخبار العالممنذ 11 ساعة
زهران ممداني لـCNN: سأقاضي إدارة ترامب إذا لزم الأمر لو أصبحت عمدة مدينة نيويورك

زهران ممداني لـCNN: سأقاضي إدارة ترامب إذا لزم الأمر لو أصبحت عمدة مدينة نيويورك

أخبار العالممنذ 11 ساعة
منها مشادة يامال مع كورتوا وفينيسيوس.. إليك أبرز 5 أحداث شهدها الكلاسيكو الإسباني

منها مشادة يامال مع كورتوا وفينيسيوس.. إليك أبرز 5 أحداث شهدها الكلاسيكو الإسباني

الرياضةمنذ 12 ساعة

بوابة مصر الجديدة

بوابة مصر الجديدة موقع الكتروني إخباري متخصص في جميع الأخبار المصرية والعربية


اشترك فى النشرة البريدية لتحصل على احدث الاخبار
  • إتصل بنا
  • خبر عشوائى
  • ارسل خبرا
  • الصفحة الرئيسية

2025 ©